Pálava na konci června
P1560130
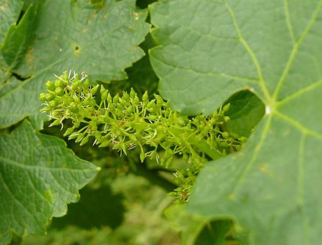
Réva vinná (Vitis vinifera) se pěstuje kvůli vínu, ale využívá se i v léčitelství, neboť podporuje snížení nadváhy. odvádí z těla toxiny, čistí ledviny a močové cesty, pomáhá při únavě nebo proti depresím a výtažek z hroznových jadýrek chrání cévy.


