Ze Starých Hutí na Buchlovský kámen, Břesteckou skálu a Barborku
P1400999
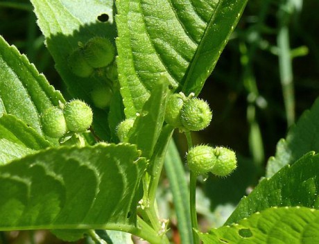
Bažanka vytrvalá (Mercurialis perennis) má plody v podobě štětinaté dvoupouzdré tobolky o velikost cca 4mm. V období zralosti se plody rozpadají na 2 jednosemenné části, přičemž jsou semena vystřelována do okolí. Bažanka se množí také pomocí oddenků.


